樟樹是台灣地區很常見的樹種,一般道路的行道樹或是公園、學校內都可以常看到它。
樟樹(別名本樟、山屋樟、栳樟)原產地在台灣及亞熱帶地區,屬於陽性植物,生性強健,全株具香味。

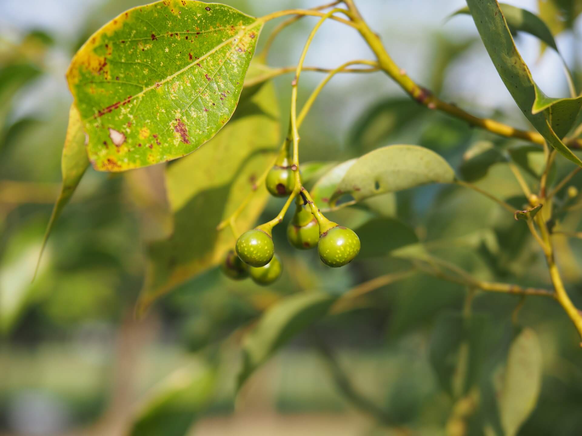
樟樹屬於常綠大喬木,高可達 50 公尺,全株莖葉具樟腦氣味。葉闊披針形,三出脈,波緣,葉表深綠,葉背粉綠,互生。花為腋生圓錐花序,花被 6 片,黃綠色。










樟樹是台灣地區很常見的樹種,一般道路的行道樹或是公園、學校內都可以常看到它。
樟樹(別名本樟、山屋樟、栳樟)原產地在台灣及亞熱帶地區,屬於陽性植物,生性強健,全株具香味。

樟樹屬於常綠大喬木,高可達 50 公尺,全株莖葉具樟腦氣味。葉闊披針形,三出脈,波緣,葉表深綠,葉背粉綠,互生。花為腋生圓錐花序,花被 6 片,黃綠色。








